
Monday, September 19th Edition

I hope your weekend felt longer than mine did.
Cory Ohlendorf , Editor ⋯ @coryohlendorf
Today’s Big Story
‘Catastrophic’ Hurricane
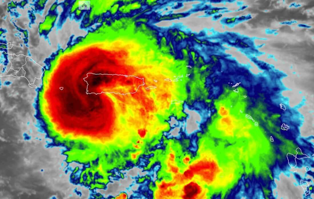
All of Puerto Rico is without power after Hurricane Fiona makes landfall with 85-mph winds, pounding rain and floods

Hurricane Fiona struck Puerto Rico’s southwest coast on Sunday as it unleashed landslides, knocked the entire island’s power grid out and ripped up asphalt from roads, washing away at least one bridge.
The storm made landfall at 3:20 p.m., five years nearly to the day after Hurricane Maria devastated the island. It was also the anniversary of Hurricane Hugo, which hit Puerto Rico 33 years ago as a Category 3 storm.
Forecasters said the current storm threatened to dump “historic” levels of rain throughout Sunday night and into Monday—with up to 30 inches possible in eastern and southern Puerto Rico. Fiona is currently a Category 1 hurricane and the third of the 2022 Atlantic Hurricane Season.
The center is now heading for the eastern Dominican Republic, where it’s expected to strengthen and become a major hurricane (a storm of Category 3 or higher) in about 48 hours, east of the Bahamas, according to a National Hurricane Center update late Sunday.
Pedro Pierluisi, the governor of Puerto Rico, said at a news conference Sunday afternoon that the authorities were assessing damage and working to stave off a growing disaster. He said officials were rescuing people in isolated areas and deploying the National Guard and other personnel to evacuate low-lying, flooded areas.
President Joe Biden on Sunday approved an emergency declaration for Puerto Rico—freeing up federal resources, including FEMA, and mobilizing the delivery of aid to the island. There are more than 300 responders already on the ground working “hand and glove” with the Commonwealth, CNN reports. And Pierluisi said enough emergency funds were available to deal with the hurricane’s aftermath—along with enough food to feed 200,000 people for 20 days three times a day.
↦ Meanwhile: A powerful typhoon slammed ashore in southern Japan on Sunday as it pounded the region with strong winds and heavy rain.
The Queen’s Funeral Is Today
Dignitaries and everyday mourners pay their respects to Britain’s longest-serving monarch
After days of lying-in-state with miles of mourners, the body of the late Queen Elizabeth II will begin its final journey as part of a grand state funeral this morning.
The proceedings will begin at 11 a.m. British Summer Time (or 6 a.m. Eastern, when this email gets sent out). The Royal Navy will hold a procession to transport the queen from Westminster Hall to nearby Westminster Abbey. There will be a religious service in front of a congregation of thousands, and then her coffin will be taken to Windsor Castle for a more intimate committal service and, finally, a private burial.
It will be a day of pomp and ceremony (and emotion) the likes of which has not been seen in most of our lifetimes. Daily life in Britain is expected to largely pause. Even flight schedules at London's Heathrow Airport have been changed to limit noise during the funeral. All major television networks, along with several satellite radio stations and YouTube channels will air the events live.
Thousands of police, hundreds of British troops and an army of officials made final preparations for today's service, which will also be the biggest gathering of world leaders for years. President Biden and other world leaders have flown into London for the funeral, to which around 500 royals, heads of state and heads of government from around the globe have been invited.
↦ Dig Deeper: Vox answers all your remaining questions about the queen’s funeral (along with what’s happening with the money and the corgis).
About That Massive Uber Hack
Your trip history appears to be safe
It seems like every other month, there's some “massive” corporate hack that calls into question the cybersecurity of some of the most powerful or technologically advanced companies in the world. So you almost stop paying attention, right?
But then, it's a company like Uber—which so many of us use on the regular—and you wonder if your own data is safe. Or, at the very least, if we're being advised to change our passwords.
Then again, this recent Uber hack (which was first reported on Friday) sure sounded bad. According to Gizmodo, the hacker, which boasted of their achievements via Telegram, claims to be an 18-year-old who allegedly gained such complete access to the tech giant's network that they were able to Slack the Uber workforce and post a picture of a dick on the company's internal websites.
Engadget reports that account info appears to be safe—for now. However, there are concerns the attacker might have access to source code, or could “sell the bounty data to other hackers who might use vulnerabilities for their own campaigns.” So they warn that we could see some fallout in the days ahead, but don't have any immediate reasons to worry.
↦ FYI: In 2016, Uber actually hid the fact that they were hacked and instead of reporting the incident, paid the hackers $100,000 to delete the information they stole.
Scientists Try to Figure Out Cats
They can’t. But, really, who can?
Cats are mysterious creatures, aren't they? You never know what they're thinking and as far as bodily movements go, nothing quite moves like a cat. And certainly, nothing lands like a cat.
They can fall from potentially infinite heights and survive. They can pivot off of nothing to land on their feet. Scientists have been studying the phenomenon in one way or another for over 120 years and still can't fully explain why. But they have made some strides.
Their unique spine apparently plays a big role. “The cat skeleton is incredibly flexible,” one veterinary surgeon tells The Atlantic. Cats can arch their spine so sharply that they effectively split their body into two, almost like “having a knee joint on top of your back,” says David Hu, a mechanical engineer at Georgia Tech.
Add to that a propeller-like tail, and their signature speedy reflexes, and you've got an ideal combination for staying right-side up no matter how the feline falls. Scientists have studied cats who were blind from birth and still learn to right themselves mid-air. But then there is conflicting data about how high is too high. Five stories could be too high, but 10 stories? That might be okay. It's something that genuinely confuses scientists. Which, I've got to think pleases the cats.
↦ FYI: Did you know that cats behave towards humans in the same way that they respond to their feline friends? Here are four scientific ways to tell if a cat likes you.
In Other News
Other Things We’re Talking About Today
+
Ace Your First Five Minutes
How to make a stellar first impression
You don't go into a job interview unprepared, right? You don't just wing it when you meet your significant other's parents for the first time. You do your homework. Maybe you practice what you'll say and what topics you should avoid.
And that's smart, but there are other social interactions that you'd be well served to prepare for—simple ones that most people don't think about. We spoke to some respected experts, from Ph.D.s to best-selling authors to get the necessary people skills to make sure you make a great impression.
Keep these proven tactics in mind and you'll emerge from any situation like a champ.
↦ Read: How to make a stellar first impression.
What We’re Eyeing

I love how trippy cardigans have gotten lately. One of the most staid garments in menswear—a favorite of grandpas—has been leveled up with bold colors, audacious patterns and fuzzy textures. And no one's doing this better than Marni. MR PORTER just teamed up with the Italian luxury fashion house for an exclusive capsule collection and the standout piece is definitely this reinterpretation of Marni's famous brushed striped mohair cardigan ($1,215). The new version has a relaxed silhouette enhanced by dropped shoulders and a shock of electric blue stripes, mellowed with black trim. You want to pet it, right?
↦ Want more? 5 stylish items to buy this week
Today’s Deals

Expires 9/19

Ongoing Sale

Ongoing Sale
↦ Want More? See all 33 sales
Morning Motto
Be mindful of what gets your attention. Don’t just give it away.

↦ Follow: @w0rdp0rm
That’s all for today...



Valet Media LLC535 S. Curson Ave. #8GLos Angeles, CA 90036[email protected]
